loading

74 Forest Hollow,

Trinity, TX 75862
Get Directions →
Just listedJust listed
4,400 Lot Sqft
Lots

Audio narrative

Get full access to Premium Content

Premium Content such as Sold Prices, Property History Reports and Saved Searches.

Sign in to view Premium Content

Description

Exceptional opportunity to bring a thoughtfully designed project to life in a beautiful gated community. This cleared lot offers all utilities on-site and comes with architectural plans ready to go—providing a smooth and efficient path for development. Enjoy outstanding neighborhood amenities including a golf course, racquetball, tennis courts, and access to Lake Trinity, where you can bring your boat. The lot sits near the lake, offering a subtle lake-view feel and a peaceful setting. Motivated seller! This property can also be sold together with 68 Hallow Forest (MLS #73641082), allowing both lots to be combined for a larger homesite or expanded project. Don’t miss the chance to turn this concept into reality.

MLS#
93885100
List Price
$15,000
Listing Status
For Sale
Address
74 Forest Hollow,
City
Trinity
State
TX
Zip Code
75862
County
Trinity County
Subdivision
Westwood Shores
Legal Description
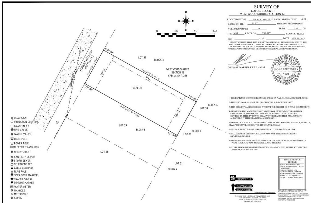
Westwood shores Block 3 Lot 30
Property Type
Lots
Lot Size
4,400 Sqft/Appraisal District
Maintenance Fee
$2,000 / Annually
Market Area

Financial information

Financing Considered
Cash Sale
Other Fees
No
Maintenance Fee
Yes / $2000 / Annually
Maint Fee Includes
Clubhouse,Common Grounds,Recreational Facilities

Extra details you may need to know

HOA Mandatory
Yes
List Type
Exclusive Right to Sell/Lease

Exterior

Lot Description
In Golf Course Community, Subdivision, Water View
Water Amenity
Lake View
Cable
Available
Water Sewer
Water District
Phone
Available
Electric
Electric Available
Gas
Gas Available

Lot Information

Lot Size
4,400 Sqft. /Appraisal District
loading
Disclaimer: Lot configuration and dimensions are estimates, not based on personal knowledge and come from a third party (Digital Map Products); therefore, you should not rely on the estimates and perform independent confirmation as to their accuracy
Ready to Sell your Home?
If you like this property and are also considering selling your current home now, you may find out how. Request your home selling analysis report featuring Recently Sold, Market Analysis, Home Valuations, and Market Update.
Start Selling your Home

Listing Broker

Information source

Houston Association of REALTORS®
Source last updated Apr 28, 2026 at 06:26 PM
Listing last updated Apr 28, 2026 at 02:56 PM
View website →

Estimate your mortgage payments

Create and estimate your monthly mortgage payment and property taxes based on past rates.

Estimated Monthly Payments

DOWN PAYMENT
Loan Term
$-----
$-----
Full Page
Presented by TimeValue Software ©2021
Principal & InterestTaxes30.4%69.6%
Listing TaxNumbers
Principal & Interest2,841
Taxes1,242
--------
-------- --------

Explore school information

Check out assigned and nearby schools along with their detailed ratings and essential information to help you make informed decisions.

Assigned schools

View nearby schools view nearby schools

Notice & Disclaimer
School information is computer generated and may not be accurate or current. Buyer must independently verify and confirm enrollment. Please contact the school district to determine the schools to which this property is zoned.
Copyright© 2026 , HOUSTON REALTORS® INFORMATION SERVICE, INC. All Rights Reserved. Data Not Verified/Guaranteed by MLS
Schedule a tour
Tomorrow
29
Apr
Thu
30
Apr
Fri
01
May
Sat
02
May
Other dates
Contact agent
Call

Schedule a Tour

Wed
29
Apr
Thu
30
Apr
Fri
01
May
Sat
02
May
Sun
03
May
Mon
04
May
Tue
05
May
Wed
06
May
Thu
07
May
Fri
08
May