loading

TBD VZCR 2120

Canton, TX 75103
Get Directions →
Just listedJust listed
30.60 Lot Acres
Land / Unimproved Land

Audio narrative

Get full access to Premium Content

Premium Content such as Sold Prices, Property History Reports and Saved Searches.

Sign in to view Premium Content

Description

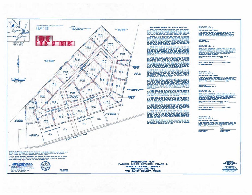
DEVELOPERS here is you opportunity to build in the highly sought after Canton Texas As the county is growing rapidly this land is ready for 1+ Acre lots just out of the city this approved for development the seller has done all the initial work with city and county so it is just awaiting a bold buyer. 30.6 acres, 23 plus or minus one acre lots, less than 1.5 miles to Canton courthouse, deed restrictions filed, civil engineering prepared. supporting documentation are available for more information contact listing agents Note Plat is also attached with this listing

MLS#
NTREIS-21238530
List Price
$1,071,000
Listing Status
For Sale
Address
TBD VZCR 2120
City
Canton
State
TX
Zip Code
75103
County
Van Zandt County
Subdivision
Conversion Rural
Legal Description
ACRES: 1.120 BLK: LOT: 26 ADDN: PARKER RIDGE
Property Type
Land / Unimproved Land
Lot Size
30.60 Lot Acres/Appraisal District
LP / Acre
$35,000 / Acre

Exterior

Lot Description
Acreage, Level, Other, Subdivision
Utility
See Remarks
Soil Type
Sandy Loam
Ready to Sell your Home?
If you like this property and are also considering selling your current home now, you may find out how. Request your home selling analysis report featuring Recently Sold, Market Analysis, Home Valuations, and Market Update.
Start Selling your Home

Listing Broker

Information source

North Texas Real Estate Information Systems, Inc.
Source last updated Apr 17, 2026 at 05:09 AM
Listing last updated Apr 16, 2026 at 04:58 PM
View website →

Estimate your mortgage payments

Create and estimate your monthly mortgage payment and property taxes based on past rates.

Estimated Monthly Payments

DOWN PAYMENT
Loan Term
$-----
$-----
Full Page
Presented by TimeValue Software ©2021
Principal & InterestTaxes30.4%69.6%
Listing TaxNumbers
Principal & Interest2,841
Taxes1,242
--------
-------- --------

Explore school information

Check out assigned and nearby schools along with their detailed ratings and essential information to help you make informed decisions.

Assigned schools

View nearby schools view nearby schools

Notice & Disclaimer
School information is computer generated and may not be accurate or current. Buyer must independently verify and confirm enrollment. Please contact the school district to determine the schools to which this property is zoned.
Copyright© 2026 , HOUSTON REALTORS® INFORMATION SERVICE, INC. All Rights Reserved. Data Not Verified/Guaranteed by MLS
Schedule a tour
Tomorrow
18
Apr
Sun
19
Apr
Mon
20
Apr
Tue
21
Apr
Other dates
Contact agent
Call Callback request

Schedule a Tour

Sat
18
Apr
Sun
19
Apr
Mon
20
Apr
Tue
21
Apr
Wed
22
Apr
Thu
23
Apr
Fri
24
Apr
Sat
25
Apr
Sun
26
Apr
Mon
27
Apr