loading

FM 678

Gainesville, TX 76240
Get Directions →
Just listedJust listed
47.27 Lot Acres
Country Homes/Acreage

Audio narrative

Get full access to Premium Content

Premium Content such as Sold Prices, Property History Reports and Saved Searches.

Sign in to view Premium Content

Description

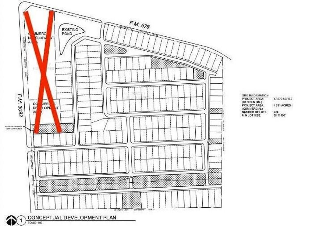
Location! Location! Location! Exceptional opportunity to acquire 47.2 acres of strategically located land within the city limits of Gainesville, TX, featuring extensive frontage along both Broadway (FM 678) and Radio Hill Road (FM 3092). This tract benefits from strong visibility and access from two major roadways, making it ideal for commercial or mixed-use development in a high-growth area. A conceptual development plan has been prepared for the property, illustrating the potential for a well-designed project (subject to approvals). This provides a valuable head start for developers looking to move quickly and capitalize on the area’s growth. The property is AG exempt and commercially zoned, with electric, water, and sewer available on-site, helping streamline the development process and reduce upfront costs. Surrounded by established neighborhoods, a nearby school, and significant ongoing developments, this site is positioned for strong long-term demand. Take advantage of this rare opportunity to acquire a large, development-ready tract with planning momentum already in place. All information deemed accurate but not guaranteed. Buyer and Buyers agent to verify all information.

MLS#
NTREIS-21241135
List Price
$3,500,000
Listing Status
For Sale
Address
FM 678
City
Gainesville
State
TX
Zip Code
76240
County
Cooke County
Subdivision
Bailey Acc
Property Type
Country Homes/Acreage
Lot Size
47.27 Lot Acres/Appraisal District
LP / Acre
$74,043 / Acre
Road Frontage
County Maintained,FM

Exterior

Lot Description
Acreage
Fencing
Wire
Easements
Electric
Utility
All Weather Road,City Sewer,City Water,Electricity Available
Road Surface
County Road, FM Road

Lot Information

Lot Size
47.27 Lot Acres /Appraisal District
loading
Disclaimer: Lot configuration and dimensions are estimates, not based on personal knowledge and come from a third party (Digital Map Products); therefore, you should not rely on the estimates and perform independent confirmation as to their accuracy
Ready to Sell your Home?
If you like this property and are also considering selling your current home now, you may find out how. Request your home selling analysis report featuring Recently Sold, Market Analysis, Home Valuations, and Market Update.
Start Selling your Home

Listing Broker

Information source

North Texas Real Estate Information Systems, Inc.
Source last updated Apr 18, 2026 at 06:47 PM
Listing last updated Apr 18, 2026 at 09:18 PM
View website →

Estimate your mortgage payments

Create and estimate your monthly mortgage payment and property taxes based on past rates.

Estimated Monthly Payments

DOWN PAYMENT
Loan Term
$-----
$-----
Full Page
Presented by TimeValue Software ©2021
Principal & InterestTaxes30.4%69.6%
Listing TaxNumbers
Principal & Interest2,841
Taxes1,242
--------
-------- --------

Explore school information

Check out assigned and nearby schools along with their detailed ratings and essential information to help you make informed decisions.

Assigned schools

View nearby schools view nearby schools

Notice & Disclaimer
School information is computer generated and may not be accurate or current. Buyer must independently verify and confirm enrollment. Please contact the school district to determine the schools to which this property is zoned.
Copyright© 2026 , HOUSTON REALTORS® INFORMATION SERVICE, INC. All Rights Reserved. Data Not Verified/Guaranteed by MLS
Schedule a tour
Tomorrow
20
Apr
Tue
21
Apr
Wed
22
Apr
Thu
23
Apr
Other dates
Contact agent
Call

Schedule a Tour

Mon
20
Apr
Tue
21
Apr
Wed
22
Apr
Thu
23
Apr
Fri
24
Apr
Sat
25
Apr
Sun
26
Apr
Mon
27
Apr
Tue
28
Apr
Wed
29
Apr